發布 2024.10.31 13:35
新聞跑馬燈
最新報導
-
留言 -
留言發布 2024.10.31 13:32
強颱康芮猛襲台北!8人受傷送醫 工人搶修不慎受傷
-
留言3PR
政見會現「準市長」格局!許智傑AI願景驚豔全場 民調黃金交叉後勢頭強勁 預期將大幅拉開領先差距
-
留言3PR
高度共鳴的在地政見 林岱樺勝出的關鍵密碼
-
留言發布 2024.10.31 13:30
康芮颱風挾強風!北捷文湖線、高架平面段午後停駛
-
留言發布 2024.10.31 13:29
康芮撲台!災防中心「淹水示警」擴增為10縣市
-
留言發布 2024.10.31 13:27
債券ETF成分債息率比一比 平均4.61%、這檔衝到8.28%最高
-
留言發布 2024.10.31 13:24
(影) 超級不爽開罵了! 戰斧遠程導彈計畫外洩 澤連斯直言白宮「令人不滿」
-
留言發布 2024.10.31 13:14
(影)通知以軍轟自己? 真主黨幹部開會竟發大合照 以飛彈馬上攻擊 僅3人存活
-
留言發布 2024.10.31 13:05
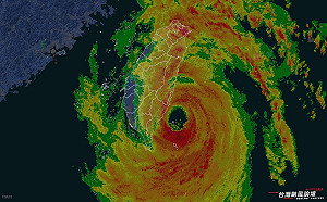
颱風眼籠罩綠島!康芮將登陸 最新實際風力排行曝
-
留言發布 2024.10.31 13:02
康芮颱風來勢洶洶 海巡署苗中彰海邊勸離65人
-
留言發布 2024.10.31 13:00
康芮颱風撲台「7.7萬戶停電」!台電:明上午展開全面搶修
-
留言發布 2024.10.31 12:55
美國大選》海莉支持者仍不滿川普 部分可能不投或改挺賀錦麗
-
留言發布 2024.10.31 12:46
現場直擊》馬祖10級陣風風高浪大 狂濤越過海堤直拍海岸
-
留言發布 2024.10.31 12:07
世界大賽道奇7比6逆轉洋基封王 第8座冠軍入袋
-
留言發布 2024.10.31 12:01
強颱康芮午後風雨最強 陳其邁叮囑確實掌握災害應變
-
留言發布 2024.10.31 11:59
(影) 西班牙瓦倫西亞數十年來最嚴重洪災 95人死亡數十人失蹤
-
留言發布 2024.10.31 11:47
康芮颱風來襲!掌握這幾款實用平台隨時了解最新動態
-
留言發布 2024.10.31 11:46
康芮來襲蘭嶼逾17級陣風破表 風速儀也被吹壞
-
留言發布 2024.10.31 11:41
康芮颱風登陸倒數!台鐵全線對號列車、區間車 中午後停駛
-
留言 3發布 2024.10.31 11:39
劉德華颱風照常開唱 林亮君轟蔣萬安甩鍋:小巨蛋同仁若意外誰負責?
-
留言 1發布 2024.10.31 11:37
網友反映高雄10月只上17天班 陳其邁:未收到企業界抱怨