發布 2024.11.16 17:39
新聞跑馬燈
最新報導
-
留言 -
留言發布 2024.11.16 17:26
輝達Q3財報要來了 外資調升供應鏈廠商目標價
-
留言3PR
政見會現「準市長」格局!許智傑AI願景驚豔全場 民調黃金交叉後勢頭強勁 預期將大幅拉開領先差距
-
留言3PR
高度共鳴的在地政見 林岱樺勝出的關鍵密碼
-
留言發布 2024.11.16 17:07
北京開闢新航道 中國拉美佈局再添戰略要地
-
留言發布 2024.11.16 17:05
台灣基進高雄黨部網路民調 許智傑拔得頭籌、林岱樺只排第四
-
留言發布 2024.11.16 17:00
和平新生路口庇護島施工釀意外 護橋團體批:新行穿線蓄意將天橋化為障礙
-
留言發布 2024.11.16 16:56
石破茂與習近平會談 要求保障在中國日僑安全
-
留言發布 2024.11.16 16:52
台南罕見發生4.5規模地震!氣象署曝震因:板塊碰撞活躍區域有關
-
留言發布 2024.11.16 16:40
遭爆劈腿、整形形象全毀!畢書盡親上火線回應:交由委任律師蒐證
-
留言發布 2024.11.16 16:32
「大海開吃」永安石斑魚節登場 陳其邁:品嚐新鮮海味、慢遊漁村風光
-
留言發布 2024.11.16 16:31
晨禎盃羽球賽報名費16萬全捐 104歲羽球傳奇林友茂開球全場歡呼
-
留言 2發布 2024.11.16 16:27
藍白合推黃國昌選新竹市長?朱立倫:純屬謠言
-
留言發布 2024.11.16 16:19
高市府收回高雄高爾夫球場用地 地方團體期許轉型公園綠地
-
留言發布 2024.11.16 16:18
指證水源區長期違法使用農藥 市府收回高雄高爾夫球場開闢大公園
-
留言 3發布 2024.11.16 15:48
(影)抗議翁曉玲要癱瘓憲法法庭:上百位律師上街、馬英九提名前大法官也加入
-
留言發布 2024.11.16 15:46
台南突連兩震!規模達4.5 最大震度4級
-
留言發布 2024.11.16 15:36
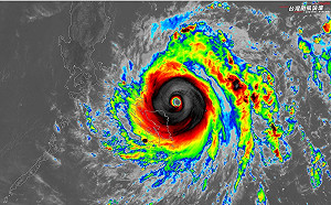
萬宜達巔峰狀態!粉專:恐挑戰「今年風王」 北台灣準備迎強降雨
-
留言發布 2024.11.16 15:31
白宮新內閣名單釋出 川普新團隊逐漸成形
-
留言發布 2024.11.16 15:16
川普國防外交態度強硬?「新保守主義」鷹派成員入列內閣
-
留言發布 2024.11.16 15:06
中共官媒新華社記者揭國企舞弊被打奪手機 當局將5人免職仍被罵翻
-
留言發布 2024.11.16 14:45
(影)拜登與川普白宮握手作秀29秒 笑容背後藏深刻矛盾