發布 2022.09.11 16:43
新聞跑馬燈
最新報導
2022.09.11
-
留言 -
留言發布 2022.09.11 16:29
有原航平慘成發球機 3局慘遭藍鳥KO
-
留言發布 2022.09.11 16:27
「巷弄藝起來」經典國語演唱會 土城斬龍山遺址文化公園嗨翻
-
留言發布 2022.09.11 16:26
台鐵號誌故障搶修3天恢復!干擾源仍待查
-
留言發布 2022.09.11 16:19
中重症+71、死亡+29!50多歲男、女「肺炎併呼吸衰竭」亡
-
留言 3發布 2022.09.11 16:05
前線潰敗普丁只顧替摩天輪剪綵 俄軍事網紅氣炸
-
留言發布 2022.09.11 16:02
青年初次尋職嘸免驚!新北就服陪伴藝術系畢業生找到工作
-
留言發布 2022.09.11 16:01
防疫政策鬆綁!日本擬進一步放寬邊境管控
-
留言發布 2022.09.11 15:33
Doncic連三場30 創紀錄 率隊晉8強
-
留言發布 2022.09.11 15:31
亞洲電競公開賽《英雄聯盟》總冠軍賽 侯友宜盼產業扎根新北
-
留言發布 2022.09.11 15:31
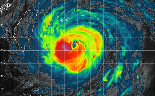
「梅花」颱風再擦邊!網驚:近3年颱風控球很準
-
留言發布 2022.09.11 15:30
高雄持續擴大採檢 社區新增4例登革熱確診
-
留言 1發布 2022.09.11 15:29
傳蘋果i14系列搭載中企晶片?美議員指斥「玩火」
-
留言發布 2022.09.11 15:19
連兩颱風石門水庫快飽和 北水局:低流量調節性放水中
-
留言發布 2022.09.11 15:17
高雄防治登革熱擴大清消 陳其邁:警戒範圍擴大為13里
-
留言發布 2022.09.11 15:16
(影)紅雀大學長還有油!696轟追平A-Rod
-
留言發布 2022.09.11 15:11
出席五股市政說明會 林佳龍:擴大敬老愛心卡搭計程車、火車
-
留言發布 2022.09.11 15:11
柯文哲評蔣萬安「蚊子叮牛角」 黃珊珊也說:無法制衡執政黨
-
留言發布 2022.09.11 15:10
查爾斯國王成14個大英國協元首 澳紐今正式宣佈國家新元首
-
留言 4發布 2022.09.11 14:38
嗆政府為護航高端擋BNT進來 柯文哲:這是我最痛恨的事情!