發布 2025.11.09 22:10
新聞跑馬燈
生活
-
留言 -
留言發布 2025.11.09 21:39
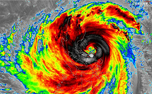
鳳凰颱風逼近!最快週一下午發海警 北東「連兩天紫爆」雨灌東半部
-
留言PR
跨年壓軸最大檔! 2025台中購物節 即日起至12/25熱鬧開跑
-
留言PR
「2025中台灣農業行銷展售會」兩大亮點! 4米高巨型蔬果牆 × 禮物盒裝置藝術 超吸睛打卡必拍
-
留言發布 2025.11.09 21:17
(影)豐味苗栗結合綠星主廚 展現「從產地到餐桌」永續價值
-
留言發布 2025.11.09 20:39
又爆芬普尼雞蛋 毒物科醫師:大量誤食恐傷肝腎
-
留言發布 2025.11.09 19:32
鳳凰來不及轉強颱仍「又大又猛」!專家揭「對台影響關鍵」
-
留言發布 2025.11.09 19:29
颱風鳳凰逼近 北大武山等步道11/10午後關閉
-
留言發布 2025.11.09 19:20
雞蛋農藥超標 高雄賣場未主動通知消費者將遭罰
-
留言發布 2025.11.09 19:01
馬太鞍溪堰塞湖發布黃色警戒!專家模擬最大洪峰流量
-
留言發布 2025.11.09 18:49
颱風假有望?中颱「鳳凰」下週登陸 3縣市暴風圈侵襲機率破8成
-
留言發布 2025.11.09 17:31
鳳凰颱風逼近!太平山、花蓮多處森林園區10日起預警性休園封館
-
留言發布 2025.11.09 17:28
日本規模6.7地震 岩手縣發布海嘯注意報
-
留言發布 2025.11.09 16:48
(影)一簍高麗菜抵一年醫藥費 中山醫大校董憶起創辦人「做對的事」
-
留言發布 2025.11.09 16:04
草地音樂結合微醺魅力 霧峰清酒魅力全面綻放
-
留言發布 2025.11.09 15:27
「鳳凰」將成為強颱!氣象署最快明天發海警 風雨時程一圖看
-
留言發布 2025.11.09 15:05
快訊》15:01花蓮縣壽豐鄉發生規模4.1有感地震 最大震度花蓮縣鹽寮3級
-
留言發布 2025.11.09 14:36
花東鐵路雙軌化計畫 力拼118年「關山-山里間」通車目標
-
留言發布 2025.11.09 13:51
鳳凰颱風逼近!龜山島9日起封島5天
-
留言 1發布 2025.11.09 12:58
免費健檢下修至 30 歲!提早防三高 全台320萬人受惠
-
留言發布 2025.11.09 12:54
加油再等等!中油:明起汽油調降0.2元
-
留言發布 2025.11.09 12:51
中颱「鳳凰」環流超大!巨無霸外型引熱議 鄭明典分析風場結構